
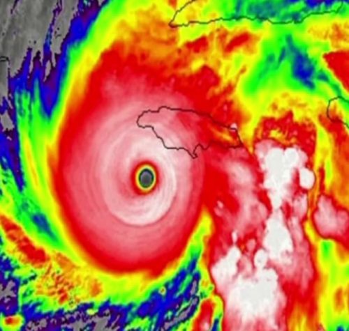
Hurricane Melissa makes landfall as a Category 5 storm
Melissa made landfall in New Hope as a Category 5 hurricane, the most powerful storm to ever strike Jamaica. NBC News’ Bill Karins speaks about what to expect from the powerful hurricane,.
Discover the latest news and trending stories from around the world. Our news updates cover politics, society, and daily events to keep you informed.

Melissa made landfall in New Hope as a Category 5 hurricane, the most powerful storm to ever strike Jamaica. NBC News’ Bill Karins speaks about what to expect from the powerful hurricane,.

Democratic leaders from 25 states are suing the USDA over the looming suspension of SNAP benefits, which is set to begin Nov. 1 because of the government shutdown.
Source link.

NBC News’ George Solis reports on Hurricane Melissa’s fast approach to the island of Jamaica where debris has started to fly and low lying roads are starting to flood.
Source link

Israeli Prime Minister Benjamin Netanyahu ordered the country’s military to launch “powerful” airstrikes on Gaza on Tuesday, imperiling the fragile U.S.-brokered ceasefire.”Following security consultations, Prime Minister Netanyahu instructed the military.
As Hurricane Melissa approaches Jamaica as a Category 5 storm, the strongest in the island’s recorded history, Peter Kong tells NBC News’ Gadi Schwartz that his “number one goal is keeping his.

The Republican-led House Oversight Committee asserted in a report Tuesday that some executive actions former President Joe Biden signed by autopen, including his pardons, were “invalid” because he suffered from.

American Peter Kong and his family are hunkered down in their hotel room in Jamaica as Hurricane Melissa approaches. Stocked up on food and water, Kong spoke to NBC News’ Joe Fryer.
Principal Director of the Meteorological Service of Jamaica Evan Thompson says Hurricane Melissa will make landfall in Jamaica as a Category 5 storm and issued warnings to those in Melissa’s path.
Source.

Apple joined Nvidia and Microsoft to become the third company to break through the $4 trillion market value milestone.
Source link

Evan Thompson with the Meteorological Service of Jamaica warned that the impending landfall of Category 5 Hurricane Melissa would cause catastrophic and “life-threatening” damage. Thompson advised seeking shelter in buildings with as.